[INDEX]
[←]
[→]
コメント
:
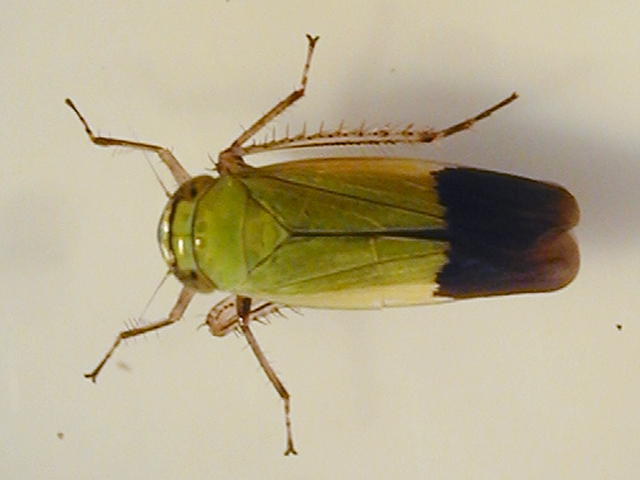
ツマグロヨコバイ雄成虫(体長5mm)